Situationen i Mellemøsten
På grund af situationen i Mellemøsten vil der være aflyste afgange og ankomster til regionen. Vi anbefaler berørte rejsende løbende at holde sig orienteret via deres flyselskab samt CPH’s hjemmeside eller app.
På grund af situationen i Mellemøsten vil der være aflyste afgange og ankomster til regionen. Vi anbefaler berørte rejsende løbende at holde sig orienteret via deres flyselskab samt CPH’s hjemmeside eller app.
 

Kørsel for Limousiner

Her på siden finder du information om afsætning og opsamling for limousiner samt kort over relevante områder i lufthavnen.

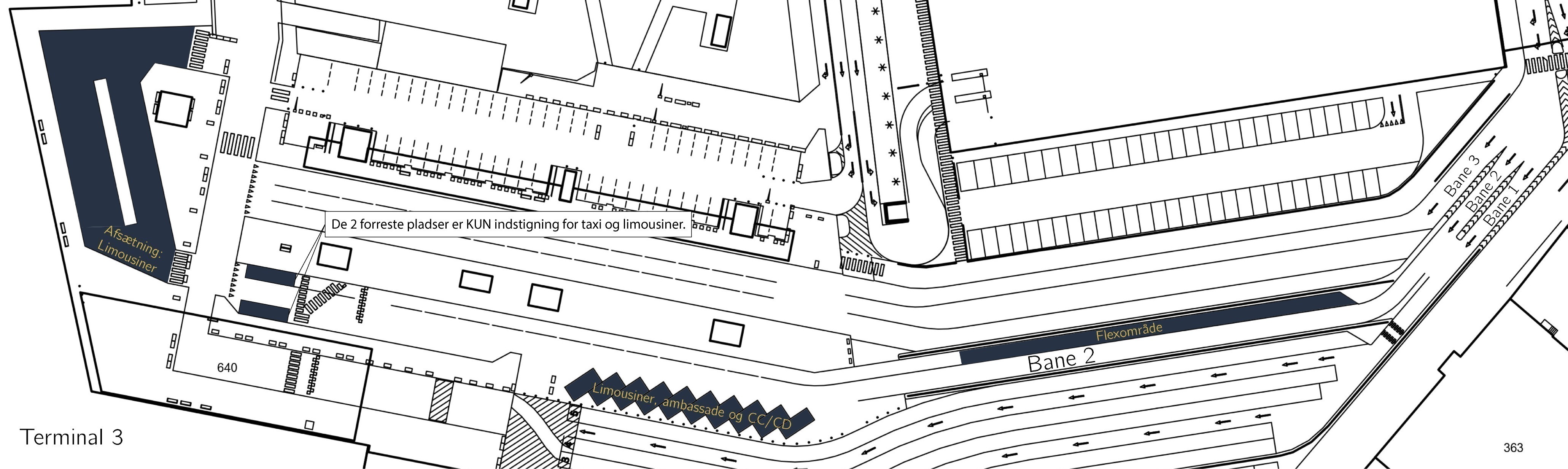
Flexområdet er til svenske og danske bestilte taxi, limousiner og ambassade CC/CD.

Ved yderligere information kontakt taxi@cph.dk.

Afsætning Terminal 3

Der køres frem til bommen ved bane 2, hvor bommen åbner automatisk, hvis bilen har BroBizz som er tilmeldt, ellers skal der aktivt på automaten vælges ”afsætning”.  Der køres igennem bane 2, og hen til afsætningsområdet, hvor der kan foretages en afsætning af passagerer.

*Notér at hvis gennemkørslen af bane 2 tager for lang tid, vil der ved udkørslen blive opkrævet samme betaling, som var der foretaget en ”opsamling”.

Afsætning Terminal 2

I inderste spor tættest på terminalen er der afsætning for taxi og limousiner.

Det er gratis at afsætte passagerer i Københavns Lufthavn.

Opsamling Terminal 3

Der køres frem til bommen ved bane 2, hvor bommen åbner automatisk, hvis bilen har BroBizz som er tilmeldt, ellers skal der aktivt på automaten vælges ”opsamling”, der kan betales med BroBizz eller kreditkort. Der køres igennem bane 2, og hen til skråparkeringsområdet, hvor der kan foretages en parkering i max. 1 time. For enden af bane 2 findes to opsamlingspladser, med standsning og parkering forbudt, kun indstigning tilladt.

Kort 

Se kort over områderne her.